コンテンツにスキップ
売買物件情報
会社概要
お問い合わせ
売買物件情報
会社概要
お問い合わせ
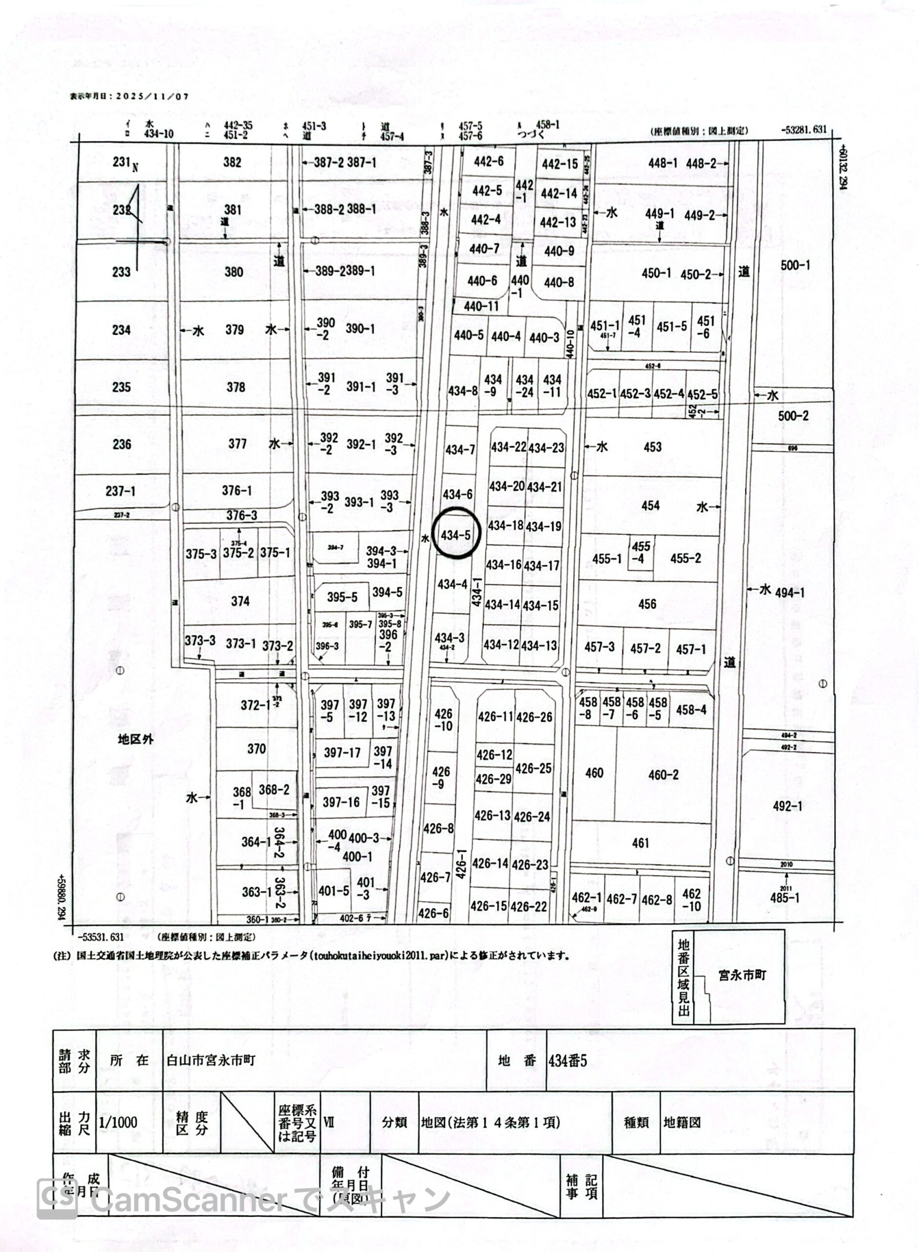
白山市宮永市町
白山市宮永市町
物件案内書
種 別
売土地
価 格
1,180万円
所在地
白山市宮永市町434番地5
住居表示
都計区域
市街化区域
用途地域
第一種住居地域
地 目
宅地
画 地
中間角地
土地面積
153.43㎡(46.41坪)
建ぺい/容積率
60%/200%
間 口
13.1m
道路種別
私道(位置指定道路)東 4.6m
電気/ガス
飲水/排水
公営/公共下水
建築条件
無し
小学校区
旭丘小学校
中学校区
光野中学校
最寄交通機関
バス
最寄駅
宮永市(徒歩3分)
最寄施設
引渡し日
相談
負担金
支払済み
取引態様
売主
タグ:
商談中